Emma, Félix, Gisele... ¿Quién pone nombre a los temporales?
‘Ana’, se convirtió en la primera borrasca con DNI. Francia,España y Portugal deciden bautizar a estos fenómenos meteorológicos para mejorar la comunicación
DANIEL ROLDÁN
Madrid
Miércoles, 14 de marzo 2018, 13:29
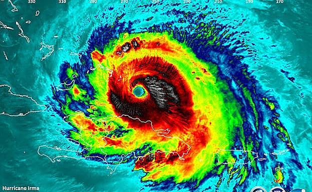
Nombres como 'Hugo', 'Katrina' o 'Irene' ya se han convertido en sinónimo del terror en muchos lugares de América, desde el sur de Estados ... Unidos, pasando por las Antillas, México o Centroamérica. Nombres de huracanes asociados a la destrucción y a la muerte. El bautizo de ciclones, huracanes y tormentas tropicales comenzó usando el santoral. El santo del día daba nombre a los feroces vientos huracanados. A finales del siglo XIX, el meteorólogo australiano Clement L. Wragge fue el primero en usar nombres de mujer para designar a los fenómenos meteorológicos, costumbre que Estados Unidos aplicó desde 1953. Después de la creación del Centro Nacional de Huracanes (NHC, en sus siglas en inglés), comenzó la alternancia entre los nombres femeninos y masculinos.
En Europa, es la Universidad Libre de Berlín la que bautiza a anticiclones y borrascas desde 1954. Sin embargo, el sistema usado por esta institución no hace distingos y pone nombre a cualquier perturbación seria. Eso es lo que ha querido evitar desde hace bien poco la Agencia Estatal de Meteorología (Aemet) junto a sus homólogas MétéoFrance y el Instituto Português do Mar e da Atmosfera (IPMA). Juntas bautizan desde el 1 de diciembre de 2018 a las borrascas profundas, que son aquellos ciclones que transcurren por latitudes medias, entre los 30 y los 60 grados. Son sistemas de bajas presiones donde el viento gira en sentido contrario a las agujas del reloj en el hemisferio norte. Asociados a las borrascas se suelen generar vientos fuertes o muy fuertes, que serán más intensos cuanto mas disminuya la presión en el centro del meteoro. En España, estas rachas de viento deben tener velocidades máximas superiores a 90, 100 y 110 kilómetros por hora en función de las zonas. Son los niveles naranja o rojo.
Las encuestas demuestran que la población está más atenta cuando la amenaza tiene nombre
Este sistema, la temporada de borrascas profundas comenzó con 'Ana', la primera con DNI, a la que siguieron 'Bruno' y 'Carmen'. El objetivo es mejorar la comunicación de los avatares climáticos, en la estela de lo que hicieron las autoridades británicas e irlandesas en las anteriores campañas. Ahora han venido 'Emma', 'Félix' y 'Gisele'. Las encuestas en estos dos países demostraron que la población está más atenta a las recomendaciones de seguridad cuando la amenaza atmosférica tiene nombre propio. El próximo será 'Hugo'. No obstante, la medida tiene cláusulas y letra pequeña. Si la borrasca ya hubiera sido bautizada antes por la NHC porque en su zona era un huracán, se deberá usar el mismo nombre usando el prefijo 'ex' –'ex Mitch'–. Quedan fuera las borrascas mediterráneas, «que se intentarán abordar en el futuro», según la Aemet. Además, los avisos locales –cierzo, levante en el Estrecho, por ejemplo– tampoco se bautizarán.
El método 'cremallera'
Este sistema de nomenclatura se denomina método 'cremallera': hombre, mujer, hombre, mujer, y así sucesivamente. Se destierra la costumbre de tildar a la borrasca con nombre de mujer. Para darle un orden, se ciñen al alfabético. Los temporales se nombran de la A a la Z. Los próximos serán Hugo, Irene, Jose, Katia, Leo, Marina, Nuno, Olivia, Pierre, Rosa, Samuel, Telma, Vasco y Wiam.
¿Tienes una suscripción? Inicia sesión